香港新闻:涉初步確診輸入個案 港府圍封上環海景大廈強檢
因應一名感染L452R變種病毒的初步確診男子居住,港府今晚(6日)7時起將上環干諾道西海景大廈列為「受限區域」,同一大廈的所有住客須接受強制檢測。
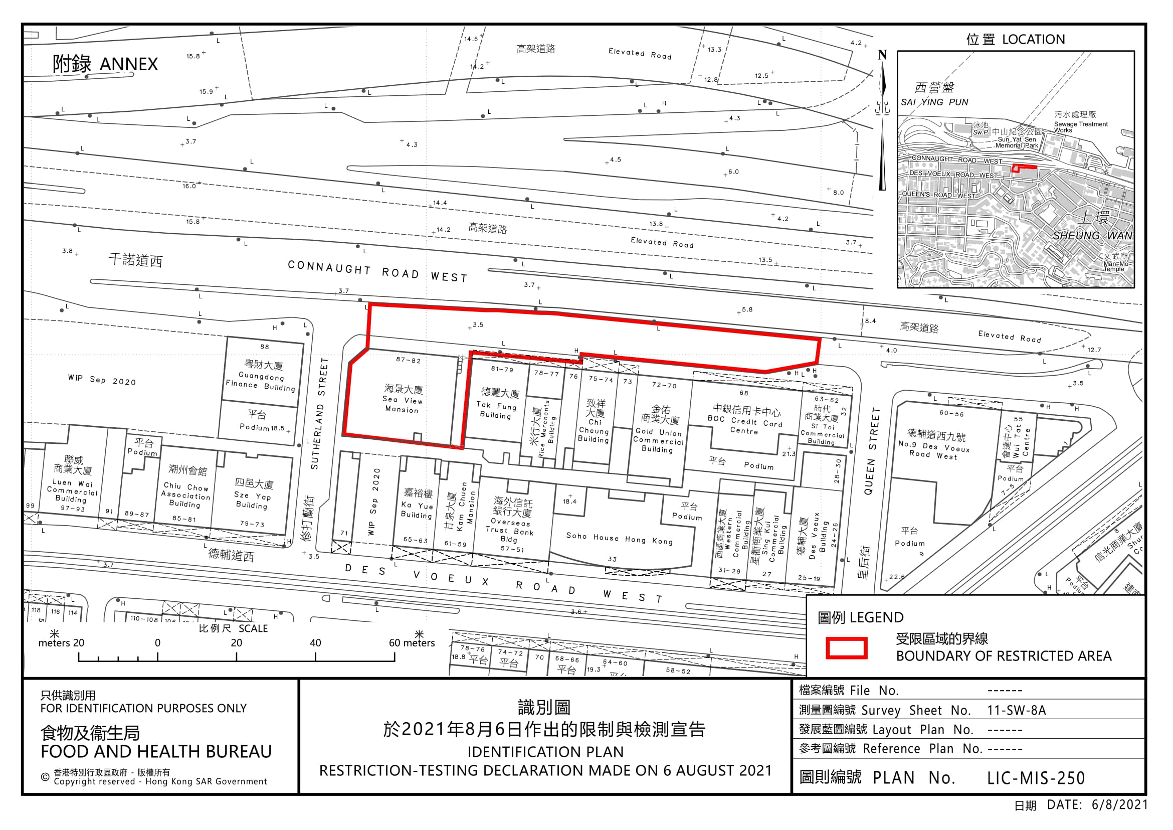
港府今日引用《預防及控制疾病(對若干人士強制檢測)規例》(第599J章)作出限制與檢測宣告,晚上7時起限制在上環指明「受限區域」—即干諾道西82至87號海景大廈內人士須留在其處所並接受強制檢測。
受檢人士須在其處所等候,直至「受限區域」內所有人完成檢測,而相關檢測結果獲大致確定方可離開處所。目標在明日(7日)早上約7時完成行動。






海景大廈圍封「受限區域」檢測情況。記者馮俊文攝
[图文来源于网络,如有侵权,请联系删除]